Boundless PUD Application – MPC/ARB Meeting – January 22, 7:00 PM
An application to re-zone 20.3 acres at the southeast corner of the Boundless site as a PUD to allow multifamily development, will be considered at the next meeting of the Worthington MPC/ARB, Thursday, January 22, at 7:00 PM, at City Hall, 6550 N. High St.
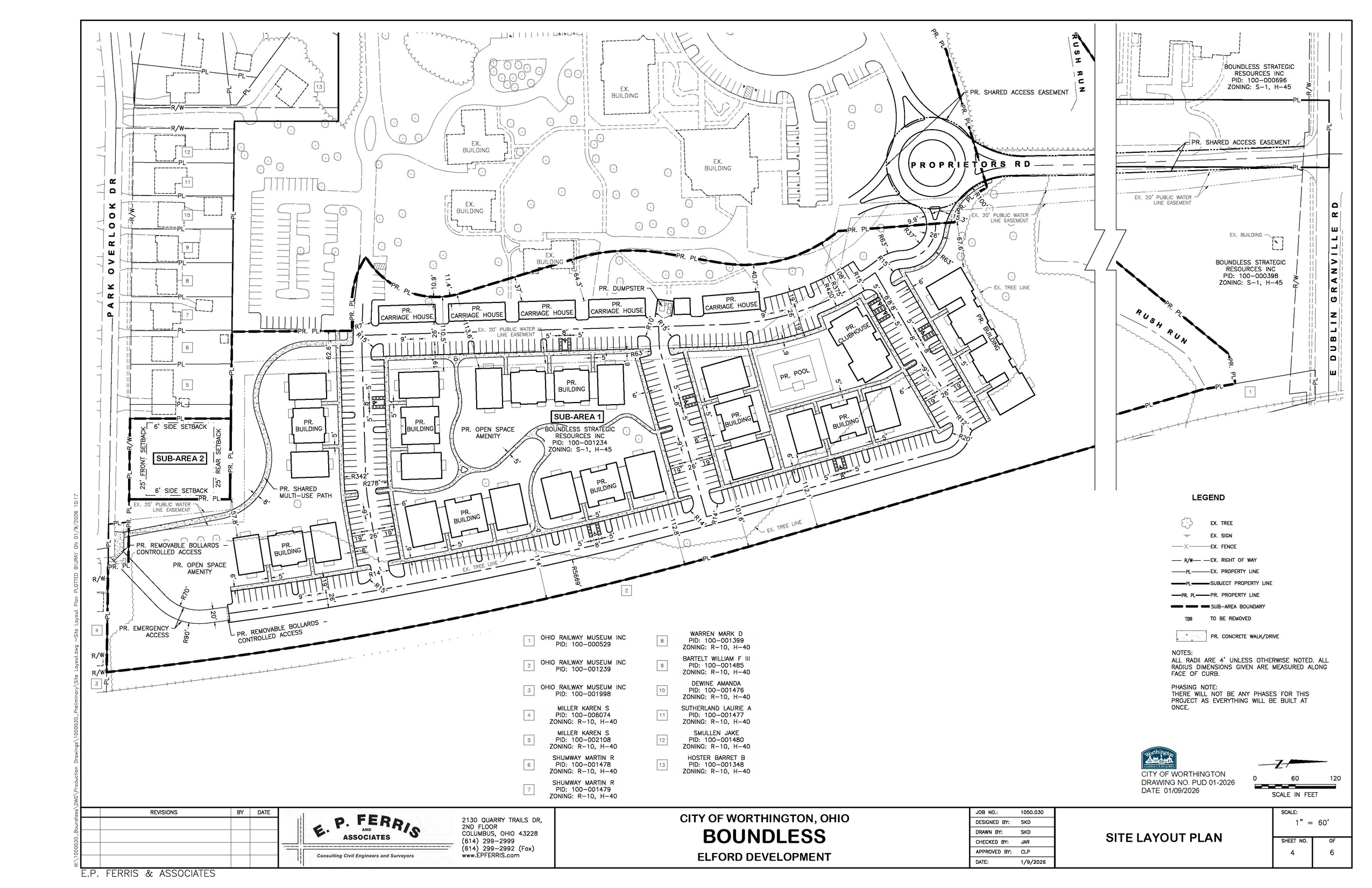
The complete agenda for the meeting, and the detailed documentation for the Boundless PUD application have been extracted from the City of Worthington website into this PDF: ARB-MPC-Agenda_and_Boundless_Item-01-22-2026.pdf. Images of selected pages are shown below.
Colonial Hills residents who determine that the information in this PUD application is relevant to them might wish to attend this meeting. Also, analysis of what this PUD may mean for Colonial Hills might be found in the Colonial Hills Advocate Together (CHAT) Facebook Group.




